Collection Online
Cottage with a white paling

Cottage with a white paling
1648

Medium
etching and drypoint

Measurements
13.0 × 16.0 cm (plate) 13.4 × 16.3 cm (sheet)

Credit Line
National Gallery of Victoria, Melbourne
Felton Bequest, 1958

Gallery location
Not on display

Download

Artwork Details

Catalogue/s Raisonné
Bartsch 232; Hind 203 iii/iii; White & Boon 232 iii/iii; NHD 246 iii/iii

Edition
3rd of 3 states

Inscription
printed in ink l.l.: Rembrandt f

Accession Number
3827-4

Departments
International Prints / International Prints and Drawings

This digital record has been made available on NGV Collection Online through the generous support of the Joe White Bequest

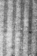
Watermarks

Watermark Form
Countermark LB
 

Early European papers were made with a watermark and a secondary mark known as a countermark. Each mark is traditionally sewn in the centre of each half of the paper mould. Papermakers would often design watermarks and countermarks to represent their own monogram or personal symbol to distinguish their paper. Initials are commonly used as countermarks and can signify the papermakers name, the name of the paper mill, a place name, or a patrons name. Initials LB may possibly stand for Léonard Binniger of Montbéliard, a patron of the Belchamp papermaking mill operating along the Doubs River in Eastern France between (1613-1643) .

Watermark and variant description
Countermark LB - variant LB.a.b. The initials LB, single-wired. The countermark to Foolscap with five-pointed collar, variant K.a

Additional notes
Initials LB may possibly stand for Léonard Binniger of Montbéliard, a patron of the Belchamp papermaking mill operating along the Doubs River in Eastern France between (1613-1643).

Related watermarks in the NGV collection
Countermark LB is connected with the watermark Foolscap with five-pointed collar, variant K.a found in the paper of NGVs Rembrandt impression The Shell.

Closely related watermark references
Heawood 1921-22 (1648-48, collection of Dutch paper at PMA), 2324 (grape countermark, ND loose end page of book).

Completeness
complete

Chain Line Interval
23 mm

Laid Line Frequency
11 per cm

Placement and spacing of wires
14 x 2 [19] x 1

Wire Side
verso

Radiograph taken from
verso