Albrecht Dürer<br/>
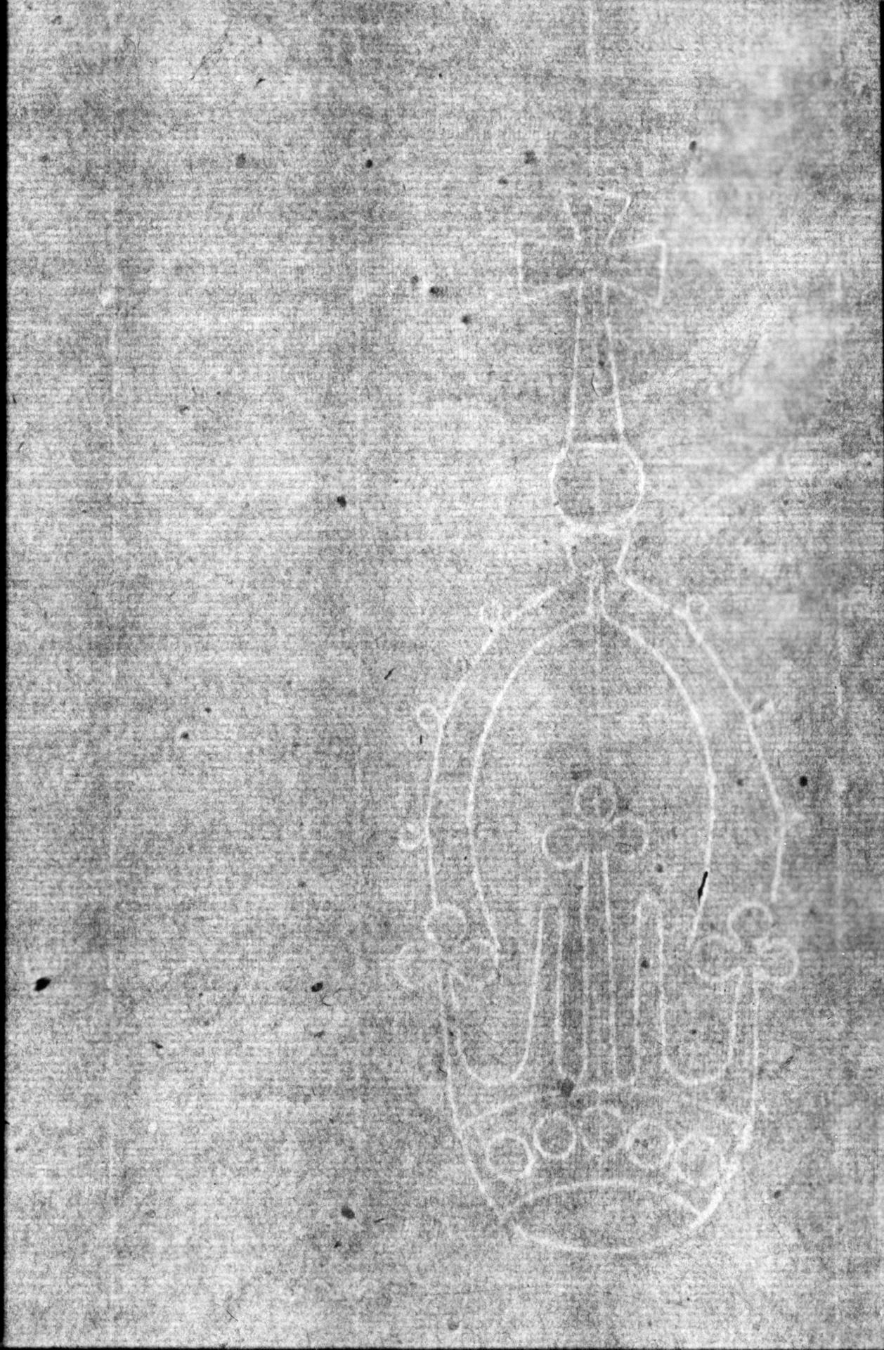
Crowned Tower with Flower watermark from Ravensburg found in Albrecht Dürer The Seven Trumpets, 1511, National Gallery of Victoria.<br/>
Beta Radiograph of watermark<br/>
The paper trail: a study of watermarks in the National Gallery of Victoria’s collection of Albrecht Dürer prints<br/>

The paper trail: a study of watermarks in the National Gallery of Victoria’s collection of Albrecht Dürer prints

ESSAYS
ESSAYS

The National Gallery of Victoria (NGV) is an important repository for Albrecht Dürer’s prints.1This extraordinary print collection is viewable via the NGV’s Collection Online. The scale of the collection provides an insight into paper production in Germany in the late fifteenth and early sixteenth centuries, the history of the German paper trade and Dürer’s paper selection and studio practices throughout his career. The first Dürer works to enter the collection were his three master engravings – Knight, Death and the Devil, 1513, St Jerome in His Study, 1514 and Melancholia I, 1514, acquired in 1891 at a sale of works belonging to Sir Francis Seymour Hayden. The Dürer collection grew incrementally over the following decades but it was truly transformed by the acquisition of 326 prints and books from the collection of Sir Thomas Dalmahoy Barlow in 1956-7.2 Zdanowicz, I. ‘Introduction’, in Zdanowicz, I. (ed.) Albrecht Dürer In the Collection of the National Gallery of Victoria, National Gallery of Victoria, 1994, p. x. Barlow painstakingly built and refined his museum-quality collection over a fifty-year period and this remarkable corpus of works includes such rarities as a first edition of Dürer’s Treatise on Fortification, 1527 and a c.1502 impression of Nemesis.3 The NGV’s copy of Nemesis provides an excellent example of Barlow’s print scholarship and uncompromising standards when assembling his collection. He bought and sold two other impressions of the second state of this print before securing this rare early impression for his collection. Hoff, U. ‘Thomas Barlow, Dürer Collector’, in Zdanowicz, I. (ed.) Albrecht Dürer In the Collection of the National Gallery of Victoria, National Gallery of Victoria, 1994, p. 85. Barlow had previously visited the NGV and admired the Collection and approached the Gallery regarding the sale of his own eminent Dürer holdings. He was concerned the group should remain intact and through the Felton Bequest, the NGV was able to secure his entire collection of prints and books.4The 1904 Alfred Felton Bequest provided the NGV with acquisition funds greater than those of the National and Tate galleries in London combined. Over the decades, it has enabled the Gallery to purchase thousands of works including our suite of William Blake watercolours from his Divine Comedy series and Thomas Barlow’s Dürer collection. The NGV’s comprehensive Dürer collection currently contains 451 items.

Albrecht D&Uuml;RER<br/>
<em>Nemesis</em> (c. 1501) <!-- (recto) --><br />

engraving<br />
32.3 x 23.0 cm (image) 33.4 x 23.0 cm (plate) 33.5 x 23.1 cm (sheet)<br />
2nd state<br />
National Gallery of Victoria, Melbourne<br />
Felton Bequest, 1956<br />
3491-4<br />

<!--43340-->
Paper during Dürer’s lifetime was made by hand on a laid papermaking mould, which is a timber frame with a sieve-like surface made from metal wires. A laid mould consists of closely spaced, horizontal brass wires running across the timber frame (the impressions these leave on paper once it is made are called laid lines) and more widely spaced vertical wires that are twisted around the laid wires to hold them in place. The twisted wires leave impressions on the paper known as chain lines. Watermarks are simple designs or letters formed by bending lengths of wire into the desired shape and stitching this wire profile onto the surface of the papermaking mould with fine wire.
Wire profile on a laid mould at The Basel Paper Mill, Basel, Switzerland. Photo credit: Suzi Shaw.<br/>

Wire has been produced since antiquity, by beating metal into sheets, cutting the sheets into strips and then rounding or twisting the strips.5Hunter D. Papermaking. The History and Technique of an Ancient Craft, New York, Dover Publications, 1978, p. 117 Simple draw plates with increasingly small dies to pull metal through were developed in Scandanavia in 800-900 B.C.E.6Newbury, B.D. and Notis, M.R. ‘The History and Evolution of Wire Drawing Techniques’, Journal of Minerals, Metals and Materials Society, Feb. 2004, p. 34 The end-product was rather crude and thick and difficult to bend with precision. This restricted mould makers to fashioning very simple designs such as circles and crosses when watermarks were invented in the thirteenth century. In Nuremberg during the fourteenth century, advancements were made in wire making which resulted in the production of finer, more malleable wire that could be manipulated into increasingly complex shapes.7Hunter, D. op.cit., p. 118 Paper is thinner in the areas where the watermark and chain and laid lines are placed so these features can often be seen using transmitted light, that is, with light shining through the sheet.

In 1390 Ulman Stromer established Germany’s first papermill in a converted water mill on the Pignitz River outside the western wall of Nuremberg.8Author unknown, Bulls Head and Mermaid: The History of Paper and Watermarks from the Middle Ages to the Modern Period, Gulde-Druck GmbH, Tübingen, 2006, p.12. Prior to opening his mill, Stromer had been the manager of a large family-owned trading company whose business interests included importing paper from Italy. He fully appreciated the skill of Italian papermakers and engaged the services of brothers, Marco and Francisco di Marchia to help set up his new enterprise. 9en.wikisource.org/wiki/Popular_Science_Monthly/Volume_42/November_1892/The_First_German_Paper-maker, accessed 31 Aug 2020. In the following years, a string of paper mills opened in Germany including those based in Ravensburg and Augsburg. These early paper mills would have been incredibly smelly, noisy and unpleasant places to work. Paper was made from old rags such as clothes and sail cloths that were soaked until they were mouldy and rotting. Huge wooden hammers powered by a water wheel would continually thump away, physically breaking down the rags until they were ready to make paper from.10Ulman Stromer’s paper mill in Nuremberg no longer exists, however the Basel Paper Mill provides us with a good idea of what early German mills would have been like. Dürer spent approximately eighteen months in Basel during his Journeyman Years and would most probably have been familiar with this mill. In winter, the mill would be freezing cold and the papermaker continually had his hands in the vat filled with wet pulp as he tried to meet his daily quota of sheets. As the days grew shorter, he would be stooped over the vat, working by candlelight until his quota was met. Understandably, it was not uncommon for the mill workers to skip washing down all the equipment at the end of the working day, with the result that the following day, little dried nuggets of pulp from the previous day were incorporated into the paper.

The wooden stampers at The Basel Paper Mill, Basel, Switzerland. Photo credit: Suzi Shaw.<br/>
A vat filled with pulp, with the papermaking mould shown in the upper left corner, The Basel Paper Mill, Basel, Switzerland. Photo credit: Suzi Shaw.<br/>

German paper production was well established by the time of Dürer‘s birth in Nuremberg in 1471. At the age of 15 he was apprenticed to local painter and woodcut designer Michael Wolgemut. Having completed his apprenticeship in 1490 and his Journeyman Years in 1494, he returned to Nuremberg to set up his own studio. Guild regulations stipulated the necessity for craftsmen to be married in order to become Master Craftsmen and have their own workshop and apprentices.11Hass, A. ‘A Double Honour: Albrect Dürer’, in Zdanowicz, I. (ed.) Albrecht Dürer In the Collection of the National Gallery of Victoria, National Gallery of Victoria, 1994, p. 4. He married Agnes Frey in 1494 and a few months later, travelled to Italy, including Venice in his itinerary where he visited Giovanni Bellini’s studio.12ibid There were numerous paper mills operating in Italy at the time of his visit, the craft of papermaking having spread from Sicily into the mainland as early as 1210.13 Hills, R. ‘A Technical Revolution in Papermaking,1250-1350’, in Looking at Paper Evidence and Interpretation Symposium Proceedings Toronto, 1999’, p.105. On his return to Nuremberg in 1495 he set up his own studio where he used a combination of Italian and German paper throughout his career.

Over recent decades, much work has been done by the NGV’s Paper Conservation studio to image watermarks in the Dürer collection and make these widely available to scholars and the general public. In 1994, the NGV published a catalogue of the Dürer collection entitled Albrecht Dürer In the Collection of the National Gallery of Victoria. In preparation for this publication, the studio embarked on the immense task of imaging all the watermarks in the NGV’s Dürer prints using beta-radiography.14Beta-radiography involves placing a thin plastic sheet embedded with carbon-14 next to the paper bearing a watermark. The sheet emits electrons in the form of beta particles. This extremely low energy form of radiation is ideally suited to imaging thin material such as paper. Ash, Nancy. ‘Recording watermarks by beta-radiography and other means, The Book and paper Group Annual, Volume 1, 1982, The American Institute for Conservation , accessed 20 Aug. 2020. A beta-radiograph provides a detailed and informative view of the paper, allowing not only the watermark, chain and laid lines to be clearly seen, but also the distribution and character of the pulp, including paper nuggets, which appear as small, randomly dispersed black areas. In recent times, the beta radiographs have been incorporated into the conservation microsite on the NGV’s website, thanks to a generous donation provided by Dr Susanne Pearce.15The NGV database of Dürer watermarks
Alternatively, when viewing Dürer records on the NGV’s Collection Online, watermark images and addition information about the paper can be found under all catalogue entries for works bearing watermarks.
The present research draws on the watermark content provided on the NGV’s website and focusses on the paper used by Dürer to produce six of his series, The Apocalypse, The Large Passion, Life of the Virgin, The Engraved Passion and The Small Passion. Through study of these series it is possible to gain an insight into the type and volume of paper in his studio at various times, and which standard paper sizes he utilised.

Prints from The Apocalypse were produced between c.1496 and c.1498. The watermarks represented in this group include Crowned Tower with Flower which belongs to a Ravensburg paper mill, Circle with an Arc and the Initials AL which belongs to an Italian paper mill and several versions of the Imperial Orb watermark which is likely to belong to an Italian mill also. (See figs. 6 and 8). These are the earliest examples of Italian watermarks in the NGV Dürer collection, appearing three years after Dürer’s first trip to Italy in 1494. The discovery that several paper types have been used to produce this series can be explained by the way paper merchants conducted their business in these times. The Rhine River was a busy trade route with papermills dotted along its length in locations such as the Piedmont region of Italy and Basel in Switzerland. Paper reaching Nuremberg via Germany’s river systems were sourced from a number of mills along the journey and would have been sorted by the paper merchants in their warehouses according to the standard paper sizes and the quality of the paper, not by mill or watermark.

Albrecht D&Uuml;RER<br/>
<em>The Four Angels staying the winds</em> (c. 1497-1498); (1511) {printed after} <!-- (recto) --><br />
from <i>The Apocalypse</i> series, published 1498<br />
woodcut<br />
39.0 x 28.0 cm (image) 39.2 x 28.3 cm (sheet)<br />
National Gallery of Victoria, Melbourne<br />
Felton Bequest, 1956<br />
3539-4<br />

<!--43445-->
Albrecht D&uuml;rer<br/>
Circle with an Arc and the Initials AL watermark from Italy found in Albrecht D&uuml;rer The Four Angels staying the winds, c.1497-1498.s<br/>
Beta radiograph watermark<br/>
The paper trail: a study of watermarks in the National Gallery of Victoria&rsquo;s collection of Albrecht D&uuml;rer prints<br/>
Albrecht D&Uuml;RER<br/>
<em>The Seven Trumpets</em> (1496-1497) <!-- (recto) --><br />
from the 1511 Latin edition of <i>The Apocalypse</i><br />
woodcut<br />
39.4 x 27.9 cm (image; left border cropped) 39.6 x 28.0 cm (irregular sheet)<br />
National Gallery of Victoria, Melbourne<br />
Felton Bequest, 1923<br />
1278.504-3<br />

<!--32587-->
Albrecht D&uuml;rer<br/>
Crowned Tower with Flower watermark from Ravensburg found in Albrecht D&uuml;rer The Seven Trumpets, 1511, National Gallery of Victoria.<br/>
Beta Radiograph of watermark<br/>
The paper trail: a study of watermarks in the National Gallery of Victoria&rsquo;s collection of Albrecht D&uuml;rer prints<br/>

Not all prints from the series bear watermarks, but when present, they are complete. Generally, when paper is made, a watermark is positioned on one half of the sheet. When the sheet is folded in half and cut in two, one half will have a watermark while the other half will not. The dispersal of watermarks in The Apocalypse series indicates the paper chosen by Dürer has been cut down either in his studio or by his paper merchant.

Italian paper sizes were standardised, a fourteenth century plaque with diagrams of the four standard sizes (known as the Bologna Stone) was attached to the exterior wall of the Palazzo d’Accursio building on Piazza Maggiore.16 The standard sizes represented on the Bologna Stone were Imperialle (Imperial, 50 x 72.5 cm), Realle (Royal, 44 x 60.8 cm), Mecane (Median, 34.5 x 49 cm) and Reçute (Chancery, 31 x 44 cm) The Bologna Stone: Medieval standardized paper sizes, accessed 5 Sep. 2020. Since Italian papermakers were brought to Germany by Ulman Stromer to set up the first paper mill, it is likely the same paper sizes were used there. The dimensions of printed books produced in Europe prior to the sixteenth century has revealed there were possibly ten standard paper sizes in Dürer’s lifetime.17The additional paper sizes identified are Papal (56 x 77 cm), Super Royal (43 x 44 cm), Super Median (37 x 50 cm), Super Chancery (33 x 44 cm), Narrow Median (35 x 42 cm) and Half Median (25 x 35 cm) The Shape of Paper, accessed 7 Sep. 2020 Although paper size was standardised, rarely did sheets strictly conform to these dimensions. Variations in scale were due to numerous factors such as paper shrinkage on drying, paper edges being trimmed and the papermaking mould not being the correct size. These factors make it difficult to be certain which paper was cut down to produce The Apocalypse series, but the most likely candidates are Royal or Imperial size paper.

The NGV’s impressions of The Large Passion were printed between c.1496/7- c.1511 and all bear watermarks. The size of the prints indicates full sheets of Chancery paper were used to produce the series.18This was the most popular paper size used by printers after 1500. The Shape of Paper, accessed 6 Sep. 2020. The range of watermarks present includes various Imperial Orbs, Name of Mary and Bull’s Heads in various forms. The origins of these watermarks are yet to be determined because several of them were popular across a broad geographic area and in use over an extended period. The Bull’s Head was popular from 1310 until the sixteenth century and is thought to symbolise either Christ or Luke the Evangelist, the patron saint of painters whose animal attribute is the ox.19Hunter, D. op.cit. p.270.
H. Bayley, The Lost Language of Symbolism. An inquiry into the origin of certain letters, words, names, fairytales, folklore and mythologies, Vol. 1, Barnes and Noble, New York, 1912, p. 50. Author unknown, op.cit., p.29, accessed 5 Sep. 2020.
Several NGV impressions bear Bull’s Head watermarks incorporating a caduceus, thought to symbolise rebirth (and therefore The Resurrection)20Although the caduceus was very popular in Bavaria and came to symbolise high quality paper, it was not used there exclusively so the watermarks bearing this feature can’t be ascribed a German origin with any certainty. It is tempting to wonder whether Dürer deliberately chose a watermark with this symbolic meaning for his print of The Crucifixion.

Albrecht D&Uuml;RER<br/>
<em>The Crucifixion</em> (c. 1498); (1511) {printed before text edition of} <!-- (recto) --><br />
from <i>The Large Passion</i> series, published 1511<br />
woodcut<br />
38.8 x 28.0 cm (image) 41.4 x 31.6 cm (sheet)<br />
National Gallery of Victoria, Melbourne<br />
Felton Bequest, 1956<br />
3526.8-4<br />

<!--43386-->
Albrecht D&uuml;rer<br/>
Bull&rsquo;s Head with caduceus watermark found in Albrecht D&uuml;rer The Crucifixion, from The Large Passion series, c.1498.<br/>
Beta radiograph Watermark<br/>
The paper trail: a study of watermarks in the National Gallery of Victoria&rsquo;s collection of Albrecht D&uuml;rer prints<br/>

Dürer returned to Italy in 1505, staying in Venice almost eighteen months and visiting Bologna to pursue his interest in perspective.21Hass, A. op.cit., p.1122Hass, A. op.cit., p.11 Correspondence between Dürer and his close friend Willibald Pirckheimer, indicates Pirckheimer had given him funds to purchase Italian paper on this journey.23Roberts, J. A Dictionary of Michelangelo’s Watermarks, 1988, p.13. In 1507 Dürer returned to Nuremberg and continued work on the Life of the Virgin which he had started before his Italian trip. The scale of the prints and the fact that all NGV impressions bear a watermark, indicates full sheets of Half-Median paper were used for the series. German watermarks found in the series include the Crest of Württenberg and a Small City Gate which possibly represents Ravensburg, the city being known for its’ many city gates and towers. The series also contains numerous broad and curvaceous High Crown watermarks that are believed to be of Italian origin. The High Crown watermarks found in The Annunciation, c.1503, Joachim and St Anne meet at the Golden Gate, 1504, The Betrothal of the Virgin, c.1504, and The Presentation of Christ in the Temple, c.1505, have identical, small distortions indicating the wire profile on the mould was damaged at the time these sheets were made. Wire profiles are quite vulnerable to damage when the mould is cleaned or when the mould is turned face-down to transfer the freshly made paper onto a woollen felt (this is called couching).24 It was not uncommon for papermakers to continue making paper on a mould with a damaged wire profile but as time passed, the distortion may become more apparent or additional damages may occur and these changes can be seen in the watermark. The identical distortion found in this group of watermarks suggests the paper supports were made on the same mould at approximately the same time, although they were used by Dürer between c.1503 and c.1505. There are several potential reasons for this time lag in using paper sheets that were potentially made within weeks of each other. It may indicate paper production and importation in Germany at the beginning of the sixteenth century was easily able to meet domestic demands and paper merchants were stockpiling paper, or Dürer was in a comfortable financial position by this time and was able to purchase paper in bulk. Dürer’s use of paper bearing the Italian High Crown emblem spans almost his entire career, from 1498 when it appears in the NGV Impression of The sea monster to 1523 when it appears in The Last Supper . It is a fine quality paper with a very well beaten, evenly dispersed pulp and only a few tiny paper nuggets. It is possible prints from the series printed after 1507 and bearing Italian watermarks are printed on paper purchased by Dürer in Italy.

Albrecht D&Uuml;RER<br/>
<em>The Assumption and Coronation of the Virgin</em> 1510 <!-- (recto) --><br />
from <i>The Life of the Virgin</i><br />
woodcut<br />
29.2 x 20.9 cm (image) 31.3 x 22.5 cm (sheet; 1.4 cm strip paper inlay along lower edge)<br />
proof<br />
National Gallery of Victoria, Melbourne<br />
Felton Bequest, 1923<br />
1278.513-3<br />

<!--32549-->
Albrecht D&uuml;rer<br/>
High Crown watermark from Italy found in Albrecht D&uuml;rer The Assumption and Coronation of the Virgin, from The Life of the Virgin series, c.1510.<br/>
Beta Radiograph of Watermark<br/>
<br/>
The paper trail: a study of watermarks in the National Gallery of Victoria&rsquo;s collection of Albrecht D&uuml;rer prints<br/>

Dürer worked on The Engraved Passion and The Small Passion concurrently from 1507–1513. Both diminutive in size compared to Dürer’s other series, few of the prints contain watermarks and where they do feature, they are only partial. This observation indicates the paper was more drastically cut down than the other series discussed. The dimensions of prints indicate Dürer used Half Median size paper for The Engraved Passion and either Half Median or Chancery size paper for The Small Passion. For both series, the paper was cut into thirds across and down the sheet producing nine small paper supports. Two different papers have been used for The Engraved Passion, one bearing the Italian High Crown watermark and the other bearing a Bull’s Head with Triangle watermark. A broader selection of paper was used for The Small Passion with watermarks bearing the German Narrow High Crown with small P, the Italian High Crown, Bull’s Head with JZ and the Imperial Orb recorded.

Dürer earned a steady income from his prints and on occasion engaged print dealers outside Nuremberg and in Italy to sell his works.25Hass, A. op.cit., p.6. In his diary entries he based the price of his prints on their size, so a print from The Apocalypse series for example, would attract a sum equivalent to half a day’s wages for a labourer.26ibid. At the time of his death in 1528, he was one of the wealthiest men in Nuremburg, indicating his choice of paper was not unduly influenced by cost but dictated more by the papers available to him through paper merchants, his journeys to Italy and his personal preference. The combination of both Italian and German paper found throughout his career reveals an extensive story about paper trade and production during Dürer’s lifetime, allowing a modern-day Paper conservator a glimpse into a society and artistic practice more than five hundred years after his birth.

Louise Wilson, Conservator of Paper, National Gallery of Victoria

An earlier version of this research was published in The Quarterly, the Journal of the British Association of Paper Historians, No. 101, January 2017.

Notes

1

This extraordinary print collection is viewable via the NGV’s Collection Online.

2

Zdanowicz, I. ‘Introduction’, in Zdanowicz, I. (ed.) Albrecht Dürer In the Collection of the National Gallery of Victoria, National Gallery of Victoria, 1994, p. x.

3

The NGV’s copy of Nemesis provides an excellent example of Barlow’s print scholarship and uncompromising standards when assembling his collection. He bought and sold two other impressions of the second state of this print before securing this rare early impression for his collection. Hoff, U. ‘Thomas Barlow, Dürer Collector’, in Zdanowicz, I. (ed.) Albrecht Dürer In the Collection of the National Gallery of Victoria, National Gallery of Victoria, 1994, p. 85.

4

The 1904 Alfred Felton Bequest provided the NGV with acquisition funds greater than those of the National and Tate galleries in London combined. Over the decades, it has enabled the Gallery to purchase thousands of works including our suite of William Blake watercolours from his Divine Comedy series and Thomas Barlow’s Dürer collection.

5

Hunter D. Papermaking. The History and Technique of an Ancient Craft, New York, Dover Publications, 1978, p. 117

6

Newbury, B.D. and Notis, M.R. ‘The History and Evolution of Wire Drawing Techniques’, Journal of Minerals, Metals and Materials Society, Feb. 2004, p. 34

7

Hunter, D. op.cit., p. 118

8

Author unknown, Bulls Head and Mermaid: The History of Paper and Watermarks from the Middle Ages to the Modern Period, Gulde-Druck GmbH, Tübingen, 2006, p.12.

10

Ulman Stromer’s paper mill in Nuremberg no longer exists, however the Basel Paper Mill provides us with a good idea of what early German mills would have been like. Dürer spent approximately eighteen months in Basel during his Journeyman Years and would most probably have been familiar with this mill.

11

Hass, A. ‘A Double Honour: Albrect Dürer’, in Zdanowicz, I. (ed.) Albrecht Dürer In the Collection of the National Gallery of Victoria, National Gallery of Victoria, 1994, p. 4.

12

ibid.

13

Hills, R. ‘A Technical Revolution in Papermaking,1250-1350’, in Looking at Paper Evidence and Interpretation Symposium Proceedings Toronto, 1999’, p.105.

14

Beta-radiography involves placing a thin plastic sheet embedded with carbon-14 next to the paper bearing a watermark. The sheet emits electrons in the form of beta particles. This extremely low energy form of radiation is ideally suited to imaging thin material such as paper. Ash, Nancy. ‘Recording watermarks by beta-radiography and other means, The Book and paper Group Annual, Volume 1, 1982, The American Institute for Conservation , accessed 20 Aug. 2020.

15

The NGV database of Dürer watermarks
Alternatively, when viewing Dürer records on the NGV’s Collection Online, watermark images and addition information about the paper can be found under all catalogue entries for works bearing watermarks.

16

The standard sizes represented on the Bologna Stone were Imperialle (Imperial, 50 x 72.5 cm), Realle (Royal, 44 x 60.8 cm), Mecane (Median, 34.5 x 49 cm) and Reçute (Chancery, 31 x 44 cm) The Bologna Stone: Medieval standardized paper sizes, accessed 5 Sep. 2020.

17

The additional paper sizes identified are Papal (56 x 77 cm), Super Royal (43 x 44 cm), Super Median (37 x 50 cm), Super Chancery (33 x 44 cm), Narrow Median (35 x 42 cm) and Half Median (25 x 35 cm) The Shape of Paper, accessed 7 Sep. 2020.

18

This was the most popular paper size used by printers after 1500. The Shape of Paper, accessed 6 Sep. 2020.

19

Hunter, D. op.cit. p.270.
H. Bayley, The Lost Language of Symbolism. An inquiry into the origin of certain letters, words, names, fairytales, folklore and mythologies, Vol. 1, Barnes and Noble, New York, 1912, p. 50. Author unknown, op.cit., p.29, accessed 5 Sep.2020

20

Although the caduceus was very popular in Bavaria and came to symbolise high quality paper, it was not used there exclusively so the watermarks bearing this feature can’t be ascribed a German origin with any certainty.

21

Hass, A. op.cit., p.11

22

Hass, A. op.cit., p.11

23

Roberts, J. A Dictionary of Michelangelo’s Watermarks, 1988, p.13.

24

It was not uncommon for papermakers to continue making paper on a mould with a damaged wire profile but as time passed, the distortion may become more apparent or additional damages may occur and these changes can be seen in the watermark.

25

Hass, A. op.cit., p.6.

26

ibid.