Collection Online
The Four Horsemen of the Apocalypse

The Four Horsemen of the Apocalypse
(c. 1497-1498); (1498) {printed before text edition of}
from The Apocalypse series, published 1498

Medium
woodcut

Measurements
39.2 × 28.2 cm (image and sheet)

Credit Line
National Gallery of Victoria, Melbourne
Felton Bequest, 1956

Gallery location
Not on display

Download

Artwork Details

Catalogue/s Raisonné
Bartsch 64

Inscription
incised (in image) l.c.: AD (monogram)

Accession Number
3538-4

Departments
International Prints / International Prints and Drawings

This digital record has been made available on NGV Collection Online through the generous support of the Joe White Bequest

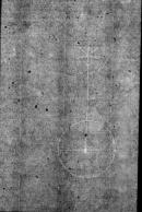
Watermarks

Watermark Form
Imperial Orb (Reichsapfel Briquet 3064)
 

Meder 53, Briquet 3064 (found in a document dated 1523 in Babenhausen, Germany)

Completeness
complete

Chain Line Interval
34.5-38mm

Laid Line Frequency
12 per cm

Placement and spacing of wires
104 x 30 [ 3 I 38 I 3 ] x ?

Wire Side
unknown

Radiograph taken from
recto